
La tormenta es una preocupación en Kingston mientras el huracán Melissa golpea Jamaica
03:29

Melissa va a golpear a Cuba mientras lidia con temas de poder, alimentación y enfermedades
02:53
ahora jugando

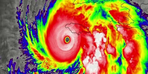
El huracán Melissa toca tierra como tormenta de categoría 5
03:19
PRÓXIMO

Los escombros comienzan a volar mientras el huracán Melissa se acerca rápidamente a Jamaica
06:22

Una pareja en luna de miel habla sobre cómo refugiarse en su resort de Jamaica durante el huracán Melissa
04:27

‘Poco es lo que puede detener una categoría 5’: funcionarios jamaicanos advierten que se debe buscar refugio
01:06

Estadounidense varado en Jamaica describe situación “aterradora” mientras espera el huracán Melissa
02:46

‘No pudimos bajar de un vuelo’: estadounidense atrapado en Jamaica antes del huracán Melissa
02:35

Fuertes tormentas azotan Florida con fuertes lluvias y viento
01:57

El monstruoso huracán Melissa de categoría 5 avanza hacia Jamaica
02:33

El huracán Melissa apunta directamente a Jamaica como tormenta de categoría 4
01:56

El huracán Melissa se fortalece a categoría 4: ¿hacia dónde se dirige?
01:54

El huracán Melissa apunta a Jamaica
02:08

Una casa se aleja en medio de niveles récord de agua en Alaska
00:41

La devastación en Alaska provoca miles de evacuaciones
01:29

Casas en Alaska arrastradas al mar por los restos del tifón Halong
00:39

Fuertes lluvias en México dejan al menos 64 muertos y 65 desaparecidos
02:01

La muerte de la Pascua estadounidense golpea la costa este mientras Alaska se ve afectada por los restos del tifón
02:09

Poderosa tormenta del Noreste azota la costa este con inundaciones y marea alta
02:50

La Pascua en Noruega trae fuertes lluvias y peligrosas amenazas de inundaciones en la costa este
01:50
NBC Noticias AHORA

La tormenta es una preocupación en Kingston mientras el huracán Melissa golpea Jamaica
03:29

Melissa va a golpear a Cuba mientras lidia con temas de poder, alimentación y enfermedades
02:53
ahora jugando

El huracán Melissa toca tierra como tormenta de categoría 5
03:19
PRÓXIMO

Los escombros comienzan a volar mientras el huracán Melissa se acerca rápidamente a Jamaica
06:22

Una pareja en luna de miel habla sobre cómo refugiarse en su resort de Jamaica durante el huracán Melissa
04:27

‘Poco es lo que puede detener una categoría 5’: funcionarios jamaicanos advierten que se debe buscar refugio
01:06


NBC Noticias AHORA

Juegalo todo








































